世界知名的潜水圣地,漂在水中可俯瞰壮观的巴里卡萨大断层。
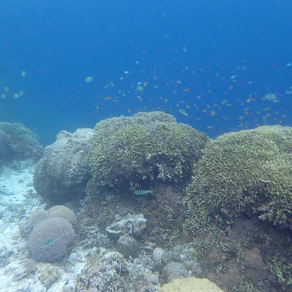
巴里卡萨岛是个赤道珊瑚岛,位于海中间,离薄荷岛约有45分钟航程。巴里卡萨岛是举世闻名的巴里卡萨大断层的所在地,有名的巴里卡萨大断层,据说有1000米的海底落差,被列为海洋保护区域,景观相当壮丽。 巴里卡萨岛也是许多潜水爱好者的汇集地,它的一大特色就是可以漂在水中俯瞰巴里卡萨大断层。从水下看,整个珊瑚岛好像一根千米多高的柱子矗立在海底,露出海面的部分就是巴里卡萨岛。在这里潜水你可以看到珍贵稀有的黑珊瑚礁,它们环绕着断层生长,珊瑚呈玫瑰形状,格外巨大且艳丽。海底还可以看到成群的热带鱼及逗趣的小丑鱼等美丽的海洋生物。还有缤纷的珊瑚、各式的鱼群等等,让人目不暇接,流连忘返。
4.2 分
给这里评分
可以输入1000字
2018-02-26 17:24
金骆驼 所以当地游的一日游基本都包括了巴里卡萨,它独特的断层,丰富的水生生物,是很多潜水员的经典目的地【概况】巴里卡萨是非常著名的潜点,因为特殊的地理条件,巴里卡萨集齐了浅滩,珊瑚,断层。所以水生生物非常丰富,且没有受过污染。水质能见度也比较高。是世界著名的潜点。
【交通】阿罗那海滩坐船出发1小时左...【概况】巴里卡萨是非常著名的潜点,因为特殊的地理条件,巴里卡萨集齐了浅滩,珊瑚,断层。所以水生生物非常丰富,且没有受过污染。水质能见度也比较高。是世界著名的潜点。
【交通】阿罗那海滩坐船出发1小时左右(跳岛游一般包括去巴里卡萨)
【详情】来到邦劳,如果没有去巴里卡萨,可以说是白来了一趟。所以当地游的一日游基本都包括了巴里卡萨,它独特的断层,丰富的水生生物,是很多潜水员的经典目的地。不过潜水的名额是有限的,,每天只能提前预定第二天清晨的。如果来的时间是旺季,那可能要提前好几天预定。不过浮潜没有限制,巴里卡萨的水非常清,所以即时是浮潜都能直接看到海龟,漂亮的珊瑚,丰富的鱼类。我觉得浮潜已经足够好玩了,就没有预定深潜名额。在珊瑚的另一边就能看到断层,海水的颜色也从薄荷绿变成了深蓝色。不禁感叹大自然的神奇。
巴里卡萨岛上倒是十分的原生态,没有建筑,房子都是木头房。一般都是一日游的游客在这里停留吃午饭。狗啊,鸡啊,羊之类的就在岛上很悠闲的乱逛。我觉得是很多城市长大的中国人不常见到的景象。 展开 









11张2018-01-08 21:05
实用 巴里卡萨的潜水区域是阶梯式断崖,非常适合新手体验潜水。萌萌的海胆跟萌萌的潜水女侠清晨6:30,有专车来酒店接我们去阿罗娜海滩,乘船去往巴里卡萨浮潜,沿途追逐海豚享受日出美景第一次见到海豚,当时看见成群的海豚跃起真的是惊呆啦!一路非常兴奋,船上小哥准备靠岸。航拍一张海边一角,清澈的...清晨6:30,有专车来酒店接我们去阿罗娜海滩,乘船去往巴里卡萨浮潜,沿途追逐海豚享受日出美景第一次见到海豚,当时看见成群的海豚跃起真的是惊呆啦!一路非常兴奋,船上小哥准备靠岸。航拍一张海边一角,清澈的海水跟琥珀一样晶莹剔透。月牙湾有小贩上船推销超级大皮皮虾,但是船员小哥告诉我们不要买岛上的东西。也不知道听得对不对,反正就当做不要买好了……我就看看科普一下,正海星的一种,以小鱼虾、珊瑚虫为食。另一种正海星(好像是)菲律宾正海星海星一家人,旁边一个萌萌小萝莉喜欢的不要不要的,非常想要带走这一家人=。=遍地的寄居蟹,很呆萌。在水里意外发现一个不明生物的蛋@_@萌萌的海胆跟萌萌的潜水女侠巴里卡萨的潜水区域是阶梯式断崖,非常适合新手体验潜水。 展开 
















18张2017-03-20 15:25
实用 这种小鱼紫的都发光,可惜相机拍不出那种震撼的感觉。潜水教练是个挺憨厚的小伙子,名字叫bebaby船一路出发,向着巴里卡萨岛。船的马达声吵得我耳朵要聋了,可是我还在担心另一件事情:船上4个人,除我之外,就是阿龙他们了。这要是万一遇到一家黑店,后果不堪设想!
船到了巴里卡萨岛,总算一路平安,他们三...船一路出发,向着巴里卡萨岛。船的马达声吵得我耳朵要聋了,可是我还在担心另一件事情:船上4个人,除我之外,就是阿龙他们了。这要是万一遇到一家黑店,后果不堪设想!
船到了巴里卡萨岛,总算一路平安,他们三人居然带我到了一家渔民的家里,顿时让我感觉这事太不靠谱了,连个正规的潜水店都木有,出事怎么办?可是来都来了,也没办法啊,于是硬着头皮,换上潜水服,氧气瓶。回头看看自己的衣物,有钱包,有手机…………阿龙说他帮我保管,好吧,貌似我也没有其他人可以更信任了。岛上的海景着实是漂亮…………即使是阴天这就是阿龙的螃蟹船。岛上的居民过着简陋而朴实的生活,从他们的眼睛里,看不出丝毫的不友善,这让我稍稍放了些心。准备下水。潜水教练是个挺憨厚的小伙子,名字叫bebaby。他反复告诉我要信任他,虽然这之前有过深潜的经历,可是那天我下了2次都示意快点上去。第三次下潜,不再有紧张情绪了。都不用太深,还低2-3米,就是另一番世界,仿佛置身另一个星球。不同颜色的小鱼一簇一簇的游来游去,也不怕人。有2只尼莫躲在珊瑚下面,bebaby示意我用手去碰,2只尼莫跟我捉迷藏,穿梭于珊瑚间,让我找不见。继续下潜,鱼儿成倍的增加,种类也较之前多出许多!往下一看,我的天啊,是个断层,断层下面黑洞洞不见底,此事看潜水表,已经21米了。由于换装的时候心里紧张害怕,潜水手套没带,bebaby让我用手摸珊瑚,结果还被蛰了一下。这里面是一个大山洞,往里瞧黑漆漆的,真有些吓人,因为你根本不知道下一刻从里面出来的是什么东西。在洞口,居然发现一只海龟,实在是太幸运了。后来问旅行团,当天一大早出发,即没有看到海豚,也没看到海龟,更没有深潜这个项目。更加庆幸自己的决定,即没有耽误休息,又玩到了深潜。我去摸了一下海龟先生鳍,被他很有力的蹬开了,表情非常不屑和厌恶,仿佛在说:老子刚想休息一会,你干嘛来烦我!于是,他头也不回的向深海游去,留下我和bebaby,意犹未尽的看着他远去…………这种小鱼紫的都发光,可惜相机拍不出那种震撼的感觉。图片右边就是黑洞洞的断层,那下面至少我是没看到底。左边的就是blebby,右边的是助手,帮我穿潜水装的那位,2个人都不赖。 展开 







































































73张2015-09-14 16:16
实用 只是浮潜的时候看到海底有海沟和深不见底很黑乎乎类似峭壁的地方,觉得蛮可怕的。吃东西是比较贵的因为想去浮潜,因此选择了来这个小岛。
温馨提示:在和船夫议价的时候:一定要问清楚浮潜的价格包括浮潜的费用,浮潜的鞋子(海域有类似珊瑚礁的东西,会划伤脚底。),呼吸管,还有换小船的费用否(因为船到达...因为想去浮潜,因此选择了来这个小岛。
温馨提示:在和船夫议价的时候:一定要问清楚浮潜的价格包括浮潜的费用,浮潜的鞋子(海域有类似珊瑚礁的东西,会划伤脚底。),呼吸管,还有换小船的费用否(因为船到达该小岛后是要换小船的,包括船夫最多坐4个人)。
发生在我身上的插曲:在岸上时揽客的人说全部费用一起都包了,到现场时船夫问我要浮潜鞋子的钱,我让他和揽客的协调。船夫作罢。
我的同伴发生的插曲:他的价格很低(可以自备浮潜的工具,潜水镜,呼气器等),但到现场后渔夫让他要坐小船的钱,因为之前没讲清楚,只好作罢!对面的小船就是我们去浮潜时要换的船。浮潜的地方海水很干净,可以看到五颜六色的鱼,总觉得自己的眼镜看不过来,很好看。只是浮潜的时候看到海底有海沟和深不见底很黑乎乎类似峭壁的地方,觉得蛮可怕的。
建议有些游泳基础的朋友去,浮潜呼气不好很容易呛水,不过渔夫就是救生员,他一直看护着。海边捡的。岛上的配套比较一般,有一家酒店。吃东西是比较贵的。一般坐在海边喝点东西的人很多。浮潜有时间段的,一般在早上,响午时非常晒。捞海胆的人。
周边交通:一般需要浮潜的人才会来这个岛上。
周边住宿:很少有人选择住着,因为配套不完善,上厕所要收钱的,要备好零钱。
总的来说,非常值得一去,因为浮潜的海域真的很不错! 展开 








10张2018-11-06 19:39

公认潜水爱好者圣地。直接找当地小黑会比国内预订更便宜。颜色变化明显。出海百元以下就可以薄荷岛远眺就能看到的巴里卡萨岛,这里有世界著名的巴里卡萨大断层,一边是几米浅滩一边是几千尺深渊。颜色变化明显。公认潜水爱好者圣地。海龟海鱼海豚,从空中可俯瞰全岛。就像散落大海的世外桃源。
直接找当地...薄荷岛远眺就能看到的巴里卡萨岛,这里有世界著名的巴里卡萨大断层,一边是几米浅滩一边是几千尺深渊。颜色变化明显。公认潜水爱好者圣地。海龟海鱼海豚,从空中可俯瞰全岛。就像散落大海的世外桃源。
直接找当地小黑会比国内预订更便宜。出海百元以下就可以。 展开 




6张2020-03-18 21:23

ow➕aow 巴里卡萨five dive杰克鱼风暴 继续进阶潜水~💫 这里的风景独好,不忍离去ow➕aow 巴里卡萨five dive杰克鱼风暴 继续进阶潜水~💫 这里的风景独好,不忍离去!!下次还要来。 


2020-02-07 18:11

岛周围大约距离岸边50米就是深海大断层,可以看到许多不同的鱼类,同时这一带海域碰见海龟的概率也非常高巴里卡萨岛是一座很小的珊瑚离岛,距离邦劳岛大约1小时的船程,这里的项目很多,周边是海豚出没的区域,运气好的话可以看见成群的海豚,但几率不算很高。岛周围大约距离岸边50米就是深海大断层,可以看到许多不同...巴里卡萨岛是一座很小的珊瑚离岛,距离邦劳岛大约1小时的船程,这里的项目很多,周边是海豚出没的区域,运气好的话可以看见成群的海豚,但几率不算很高。岛周围大约距离岸边50米就是深海大断层,可以看到许多不同的鱼类,同时这一带海域碰见海龟的概率也非常高。 展开 








10张2020-01-19 17:39

就是岛上的设施不是很好,还是在出发前就换好泳衣,岛上的厕所都是自己舀水冲的,吃饭时候因为是露天...知名的浮潜圣地,也很适合潜水,在岛旁的潜水区就能看到大海龟,以及有名的大断层。本身巴黎卡萨岛上就是一个酒店,我们坐船抵达之后,稍作修正就被安排换乘小船,由专人带着我们去附近浮潜,一般是3/4个人一艘船...知名的浮潜圣地,也很适合潜水,在岛旁的潜水区就能看到大海龟,以及有名的大断层。本身巴黎卡萨岛上就是一个酒店,我们坐船抵达之后,稍作修正就被安排换乘小船,由专人带着我们去附近浮潜,一般是3/4个人一艘船。
附近浮潜的人特别多,因为第一天到还不太敢自己下水划,只敢呆在船的附近,好在我们船的小黑挺好,带着我们每个人都去大断层看了看,真的是很深很壮观,如果能潜水下去的话应该更加的震撼。水质还是很清澈,也看到了大海龟。
就是岛上的设施不是很好,还是在出发前就换好泳衣,岛上的厕所都是自己舀水冲的,吃饭时候因为是露天还有苍蝇飞来飞去,还好有当地小黑帮忙在旁边驱赶,不过体验度真的是一般,还好风景不错。 展开 



5张2020-01-02 03:09

网红潜水圣地!从邦劳过去要快2个小时了,浪大的颠的不行网红潜水圣地!从邦劳过去要快2个小时了,浪大的颠的不行~感觉那里的水不是很干净,可能是浪大的原因吧,海龟也不是每次都能看到的,小菲的坑很多,要谨慎啊………… 


2019-11-26 10:24

...带领下,突然来到一个大悬崖边,往下一望,真的好高好高的落差,沿悬崖壁有更多不同颜色的珊瑚,很美巴里卡萨的海底真的很多东西看,在船老大的带领下,突然来到一个大悬崖边,往下一望,真的好高好高的落差,沿悬崖壁有更多不同颜色的珊瑚,很美。 


查看更多祁豫monica
来自游记懒人攻略——薄荷岛7日游
travel717
来自游记菲城雾扰---菲律宾宿雾6日5晚跳岛游
threeants
Edword985
姚卜姚Mayday
来自携程 网友
来自游记菲律宾 宿务+薄荷岛+杜马盖地
pocketbob
来自游记繁如星空的海岛——菲律宾[马尼拉-薄荷-杜马盖地]
一一么
来自携程 网友
来自携程 网友